PUMS, si sperimenta viabilità alternativa a ridosso della rotatoria del cimitero di Viterbo

144ace9

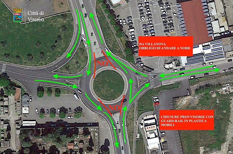
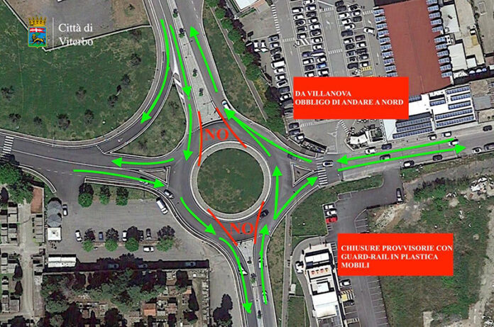
Da lunedì 3 giugno modifiche alla viabilità a ridosso della rotatoria prospiciente il cimitero di Viterbo. La rotonda, per un periodo sperimentale, verosimilmente di un mese, non sarà più utilizzata come rotatoria. Tale modifica consentirà a Tps Pro, la ditta incaricata dal Comune di Viterbo di redigere il Piano urbano della mobilità sostenibile, di posizionare dei sensori e valutare l’impatto che tali modifiche avranno sul traffico. La viabilità intorno alla suddetta rotonda rientra tra le situazioni maggiormente attenzionate dall’amministrazione per la questione traffico. Per questo motivo si testerà una soluzione alternativa rispetto all’attuale. L’interdizione parziale della rotonda verrà segnalata attraverso apposite transenne. In termini pratici, chi proviene da Villanova e si immette sulla rotonda dovrà svoltare obbligatoriamente verso nord, ovvero in direzione Cassia-Montefiascone. Chi proviene dalla Cassia-Montefiascone, alla rotatoria potrà girare verso destra o proseguire dritto e non potrà dirigersi verso Villanova. Per raggiungere Villanova dovrà pertanto proseguire per poi rientrare.

COMMENTA SU FACEBOOK

CONDIVIDI